政府信息公开
11440882MB2D25019W/2021-00051
湛江市雷州市自然资源局
2021-03-31
雷州市存量住宅用地信息
2021-04-15

雷州市存量住宅用地信息

发布日期:2021-04-15  浏览次数:-

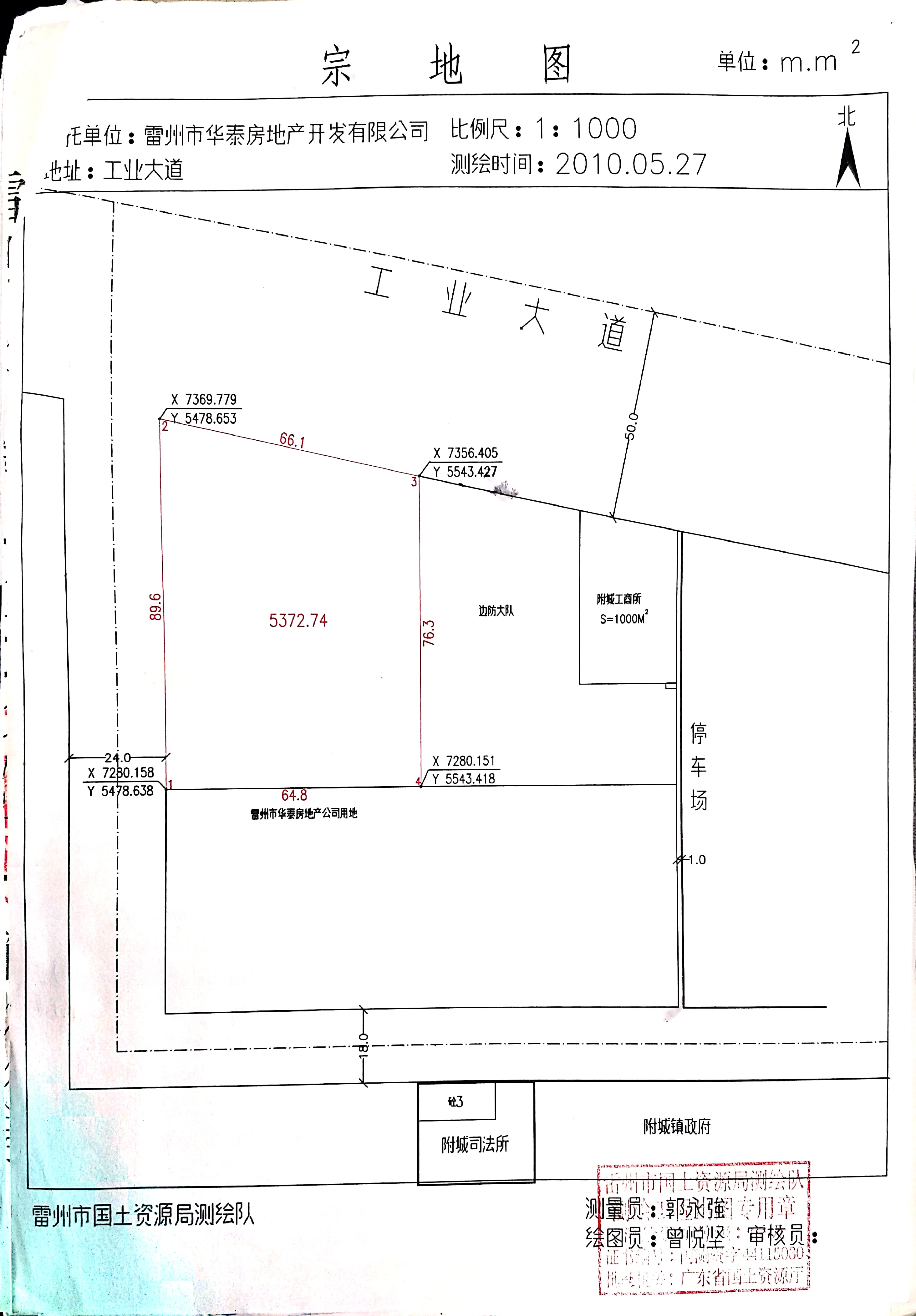
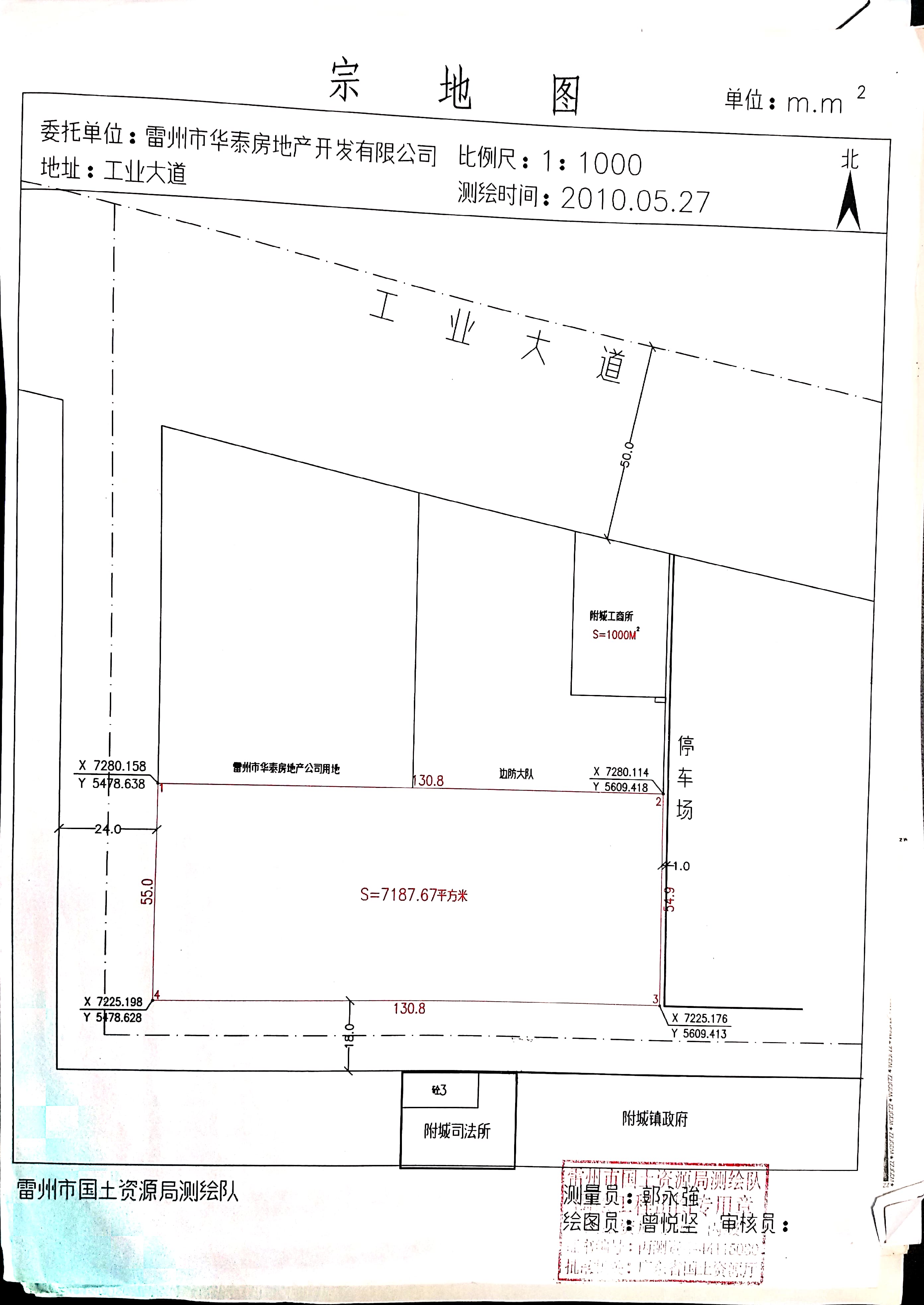
雷州市存量住宅用地信息表.jpg雷州市存量住宅用地信息汇总表.jpg序号7.jpg序号8.jpg序号9.jpg序号10.jpg序号11.jpg序号12.jpg序号13.jpg序号1.jpg序号2.jpg序号3.jpg序号4.jpg序号5.jpg序号6.jpg



http://www.leizhou.gov.cn/xxgk/tzgg/zrzyjgg/content/post_1142596.html